
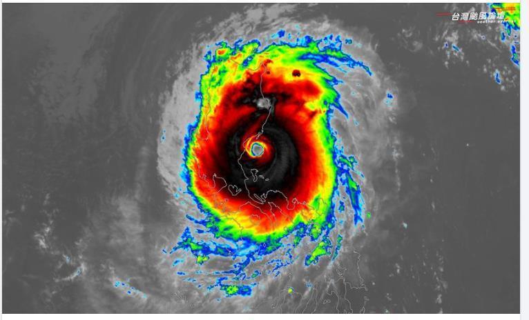
氣象粉專「台灣颱風論壇|天氣特急」今天表示,強颱萬宜強度稍微減弱,但還是很厲害的強烈颱風,核心依然紮實,風眼清晰可見,即將登陸菲律賓呂宋島。
「台灣颱風論壇|天氣特急」指出,未來幾天基隆北海岸、宜蘭、台北東側,容易下大雨。尤其明天、周二萬宜外圍水氣飄到台灣上空,下雨時間更長,全台各地雲量也偏多,偶有零星陣雨機會。
「台灣颱風論壇|天氣特急」指出,今天東北季風增強,帶來更多涼空氣,預計為期至少一周。北台灣明顯濕涼,其他地區夜晨涼意十足,提醒大家適時添加衣物,千萬別著涼感冒。
※以上言論僅供學術討論之用,氣象預報應以氣象署為準。





